
*HOY EL DÍA DE LAS NACIONES UNIDAS.
*MURIÓ A LOS 73 AÑOS DE EDAD, ALBERTO RAFAEL BUSTILLOS ALAMILLA, más conocido como Alberto Ángel «EL CUERVO». EL MUNDO DE LA MÚSICA PIERDE HOY A UNO DE SUS MEJORES REPRESENTANTES.QEPD.
*SE REGISTRÓ UN ACCIDENTE EN LA LÍNEA 7 DEL METRO, ESTACIÓN POLANCO, CUANDO UNA DE LAS ESCALERAS REPENTINAMENTE CAMBIÓ LA DIRECCIÓN Y PROVOCÓ QUE LOS USUARIOS CAYERAN. FUERON ATENDIDAS POR LOS SERVICIOS MÉDICOS.
*LOS DIPUTADOS MANDARON AL SENADO LA MISCELÁNEA FISCAL 2024 Y SE TURNÓ A COMISIONES. AL ESTAR CERRADO SAN LÁZARO POR PROTESTAS, SESIONARON EN UN HOTEL.
*HUBO UNA EXPLOSIÓN EN UNA CASA DE LA ALCALDÍA GUSTAVO A. MADERO. LA TRIBUYEN A UN TANQUE DE GAS DE 20 KILOS. SÍ HUBO LESIONADOS.
*EL SENADO PREFIRIÓ NO INVITAR A LA PRESIDENTA DE LA SCJN PARA QUE EXPLICARA EL FUNCIONAMIENTO DE LOS FIDEICOMISOS E INICIÓ DE INMEDIATO EL DIARIO DE DEBATES.
Columna: Termómetro Político
Por: Luis Ignacio M. Lujano Rivera
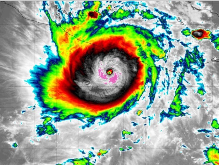
Ciudad de México; 24 de octubre de 2023.- El Meteorológico Nacional prevé que esta noche toque tierra en Acapulco el Huracán Otis.
Se fortaleció en las últimas horas y ya es categoría 4.
La Comisión Nacional del Agua dijo que existe la posibilidad de que se convierta en huracán categoría 5.
Su centro se localiza a 130 km al oeste-suroeste de Punta Maldonado, Guerrero y a 135 kilómetros al sur-sureste de Acapulco.
Otis cuenta con vientos máximos sostenidos de 230 km/h, rachas de 280 km7h y desplazamiento hacia el nor-noroeste de 13 km/h.
Suspendieron las clases en Guerrero y habilitaron los albergues.
*u*
–
PROMOVAMOS LA PAZ POR ENCIMA DE TODO, DESDE DONDE ESTEMOS.